發布 2021.04.21 19:20
新聞跑馬燈
最新報導
2021.04.21
-
留言 -
留言發布 2021.04.21 19:01
這麼好運怎麼辦? 美女議員許淑華自爆:我已是五寶媽
-
留言PR
「大港青年防衛隊」特攝熱潮不減! 微縮城市登陸捷運中央公園站 機票得主驚喜現身
-
留言發布 2021.04.21 18:28
第2波新冠肺炎兇猛印度醫療崩潰 醫院竟花3倍價格從黑市買氧氣
-
留言發布 2021.04.21 18:25
鄉名女神「邵岱兒」曬泳裝照!網噴鼻血:太辣了
-
留言發布 2021.04.21 18:21
習近平將與拜登視訊對談 中方釋善意 : 期待氣候變遷峰會與美合作
-
留言發布 2021.04.21 18:21
胡采蘋稱生育率低並非全因「高房價」 徐巧芯嗆:財經魍美刷新三觀
-
留言發布 2021.04.21 18:17
(影)爸進屋赫見愛貓「奇葩睡姿」 大嘆:牠真的太怪了!
-
留言發布 2021.04.21 18:11
柯文哲拋正名 台灣國嗆:北平東路沒改名笑你沒種!認同本土先拆蔣銅像
-
留言發布 2021.04.21 18:09
受夠網路言語霸凌!Instagram新功能自動過濾惡意私訊
-
留言發布 2021.04.21 18:05
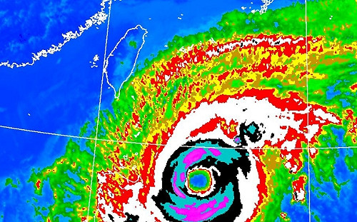
2號颱風「舒力基」明日離台最近!外圍水氣移入3地區有雨
-
留言發布 2021.04.21 18:02
傳口譯哥返港湖區選市議員 高嘉瑜:很適合
-
留言發布 2021.04.21 18:01
他跪殺了佛洛依德被判有罪 美媒 : 仍能領取退休金 近3000萬
-
留言發布 2021.04.21 17:51
海底撈遭爆每桌裝2支監視器傳回中國 柯文哲:是個大問題
-
留言發布 2021.04.21 17:48
高雄也瘋媽祖! 林園鳳芸宮媽祖海巡專屬遊程限量700名額
-
留言發布 2021.04.21 17:46
懲戒法院未認定丁允恭性騷擾 監委紀惠容已提上訴
-
留言發布 2021.04.21 17:45
視察「HOLO PARK映像鹽埕」 陳其邁:持續帶動鹽埕區發展與觀光
-
留言發布 2021.04.21 17:42
跨世代的共同語言 《不老電競》開放60歲以上長輩報名
-
留言發布 2021.04.21 17:38
央廣發聲明澄清違失爆料 文化部:移送政風調查
-
留言發布 2021.04.21 17:33
愛莉莎莎發文曝IG每天掉粉1000人!釣出多位網紅直呼「我也是」
-
留言發布 2021.04.21 17:29
蘇貞昌用人爭議 柯文哲:要用此人 就要承擔政治效應