發布 2021.04.17 17:58
新聞跑馬燈
最新報導
-
留言 -
留言發布 2021.04.17 17:50
發布美日聯合聲明後 日本防衛大臣赴與那國島遠眺台灣
-
留言22PR
「大港青年防衛隊」特攝熱潮不減! 微縮城市登陸捷運中央公園站 機票得主驚喜現身
-
留言發布 2021.04.17 17:30
力推反萊豬公投!國民黨明啟動全台宣講 江啟臣上陣當培訓講師
-
留言發布 2021.04.17 17:29
重訓舉到70公斤!健身網美竟是台大高材生
-
留言發布 2021.04.17 17:28
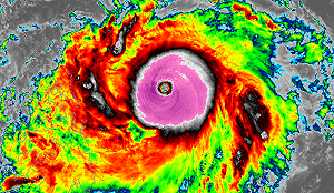
「舒力基」轉強颱!怎麼走西部才會下雨?專家給答案
-
留言發布 2021.04.17 17:09
美日聲明52年首提台灣 游錫堃:樂見與更多民主國家加深關係
-
留言發布 2021.04.17 17:06
美日聯合聲明強調台海和平穩定 行政院:感謝對台堅定支持
-
留言發布 2021.04.17 16:56
貓咪超黏「不愛貓阿嬤」 網曝聰明原因:這是戰術
-
留言發布 2021.04.17 16:55
與馬超甜互動!網紅舉動引網心動
-
留言發布 2021.04.17 16:54
配合開發新水源 中市館前路將封閉至七月底
-
留言發布 2021.04.17 16:48
網傳5種方式「有效懲罰貓咪」 專家打臉:恐造成反效果
-
留言發布 2021.04.17 16:33
「民主歸還鳳中!」校慶變抗議 學生不滿校方漠視投票結果
-
留言發布 2021.04.17 16:12
嘉縣大林鎮聖賢宮祈雨 縣長翁章梁領軍
-
留言發布 2021.04.17 16:09
享「同等待遇、免費接種」上海下周一開放台灣人預約注射中國疫苗
-
留言發布 2021.04.17 16:05
美日發表聯合聲明 中官媒怒喊「勸日本離台灣問題遠一點」
-
留言發布 2021.04.17 16:01
氣噗噗!美日聯合聲明遭中國駐美發言人回嗆「台灣、香港是中國內政」
-
留言發布 2021.04.17 15:56
不甩中國!日台交流協會升國旗 日議員籲民主國家合作抗中
-
留言發布 2021.04.17 15:52
手機響了接起來卻不講話?眾爆共鳴
-
留言發布 2021.04.17 15:44
武漢肺炎》AZ疫苗累計3萬2389人接種!莊人祥:歡迎團體預約
-
留言發布 2021.04.17 15:39
期許柯文哲選2024?尤清讚優秀:後面政治發展靠自己