發布 2023.05.29 11:16
新聞跑馬燈
最新報導
-
留言 -
留言 5發布 2023.05.29 11:12
閉門會變鴻門宴?白俄總統盧卡申科與普丁會面後急送院 疑遭俄特工毒害
-
留言 1發布 2023.05.29 11:08
「GAP」觀賞G7?真理:不確定Allen支持誰
-
留言 2發布 2023.05.29 11:07
密談1小時內容曝!周典論示警「郭柯配」籲侯友宜主動溝通 否則非常危險
-
留言 8發布 2023.05.29 11:06
嗆「不信真理喚不回」 侯友宜明確表態:我反廢死!
-
留言 1發布 2023.05.29 11:04
不再歲月靜好?侯友宜首對核能議題重大表態:核能是我的選項
-
留言發布 2023.05.29 11:03
立院三讀》 原能會降級成三級機關核能安全委員會
-
留言發布 2023.05.29 11:03
「三杯陳橘」走失了!統神深夜騎Ubike找貓 網:刀子嘴豆腐豬
-
留言發布 2023.05.29 10:58
民調:賴清德以34%支持度領先侯和柯的23% 郭台銘仍是關鍵因素
-
留言發布 2023.05.29 10:53
專論》總教練找球員是找好玩找好看的?綠議員林秉宥四大面向解構「徵召之亂?」
-
留言 14發布 2023.05.29 10:49
中國陷財政危機向發展中國家追債 「正把世界最貧困國推向崩垮邊緣」
-
留言 1發布 2023.05.29 10:46
賴清德主張停機核電機組維持緊急效能 侯辦諷:非核家園不廢核
-
留言發布 2023.05.29 10:40
丹妮婊姐曬男友視角批「死亡之手」!網同感:以為是我的照片
-
留言發布 2023.05.29 10:37
基輔遭最大規模攻擊 俄軍59架無人機被打下58架
-
留言發布 2023.05.29 10:31
前暴龍助教Griffin 將接公鹿主帥
-
留言發布 2023.05.29 10:26
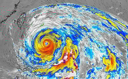
瑪娃颱風龜速 !專家曝恐明才發海警 拖至週五解除
-
留言發布 2023.05.29 10:21
立院三讀》新增或改建建築物 應設置太陽光電設備
-
留言 2發布 2023.05.29 10:20
終結家族壟斷!洪健益籲雞排妹戰謝衣鳳 吳音寧證實被徵詢:願為家鄉一戰
-
留言發布 2023.05.29 09:46
瑪娃颱風又煞車!2階段紫爆雨區曝光
-
留言發布 2023.05.29 09:43
與拜登終達成美債限協議 麥卡錫:31日眾院表決