發布 2023.05.25 16:13
新聞跑馬燈
最新報導
-
留言 -
留言發布 2023.05.25 16:12
打臉王國材「不用查」im.B餐敘 鄭文燦:會行政調查
-
留言 2發布 2023.05.25 16:11
中國駭客攻擊關島交通網路關鍵基礎設施 紐時:真正目標恐是台灣
-
留言發布 2023.05.25 16:05
遭綠營抹黑?江肇國驚訝 :「所有不該做的事都找上羅廷瑋」
-
留言發布 2023.05.25 16:01
軍援烏導彈越射越遠! 德將提供「金牛座」導彈 可鑽地炸俄司令部、彈藥庫
-
留言 3發布 2023.05.25 15:59
柯文哲主張體罰?楊寶楨砲轟綠營:移花接木、無限上綱
-
留言發布 2023.05.25 15:57
快訊》雨炸中南部!4縣市大雨特報 氣象局:高屏地區注意大雷雨
-
留言發布 2023.05.25 15:55
率隊總決 Jokic當年選秀報告出爐
-
留言發布 2023.05.25 15:42
「新竹強則國強」林志潔證實民進黨徵詢選立委 李妍慧:配合黨中央規劃
-
留言發布 2023.05.25 15:40
4大Q&A一次看!Netflix「帳號共享新規」懶人包
-
留言發布 2023.05.25 15:34
蘋果西打爆有不明沉澱物!驗出含「黴菌」
-
留言發布 2023.05.25 15:28
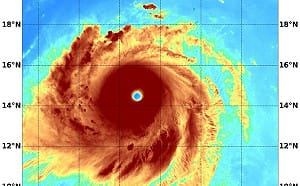
瑪娃究竟有多強?鄭明典曬清晰「颱風眼」:結構接近圓對稱
-
留言 2發布 2023.05.25 15:27
不是年輕人?民眾黨立委曝柯文哲募款主力 抖內最多來自「這一區」
-
留言發布 2023.05.25 15:12
勇士盼補強 美媒建議和暴龍談交易
-
留言發布 2023.05.25 15:11
找雞排妹當美女刺客?王世堅:不能跳出來亂刺 不然刺到自己人
-
留言發布 2023.05.25 15:10
妮婭開箱大王具足蟲拉麵Joeman無法陪同!網笑:藉故落跑
-
留言發布 2023.05.25 14:39
立院LIVE》朝野黨團協商 現場直播中
-
留言 1發布 2023.05.25 14:33
28「風暴兵」集體投降! 錄影向普丁喊話 : 害怕上前線 像肉塊一樣被送去屠殺
-
留言發布 2023.05.25 14:30
初選裂痕難解?王世堅坦言致電仍沒接、何志偉不鬆口僅稱「謝謝」
-
留言 5發布 2023.05.25 14:26
黃國昌回擊王定宇 指林右昌曾和im.B 主嫌一同吃飯