發布 2023.05.25 12:02
新聞跑馬燈
最新報導
-
留言 -
留言發布 2023.05.25 12:00
史上最強俊男美女!大谷翔平跟樂天女孩合照
-
留言發布 2023.05.25 11:55
瘋出國!長榮33航線優惠機票限時搶 飛澳門最低3231元
-
留言發布 2023.05.25 11:52
立院LIVE》朝野黨團協商(司法及法制委員會) 現場直播中
-
留言 2發布 2023.05.25 11:46
中國以戰逼台?邱國正:每天都有這個感覺
-
留言 2發布 2023.05.25 11:41
黃光芹爆有人想拱郭董當黨主席 藍否認:確定沒有這件事
-
留言發布 2023.05.25 11:41
Netflix抓寄生帳號!眾抓包目的:方法錯了
-
留言發布 2023.05.25 11:41
合作民進黨選大安?苗博雅:爭取立委選舉非心中牽掛
-
留言發布 2023.05.25 11:37
王不見王?藍營三巨頭侯、郭、韓這天都在高雄卻不同台
-
留言發布 2023.05.25 11:28
驚!樂天女孩有黑馬 Yuri網路票選擠掉李多慧、林襄得冠軍
-
留言發布 2023.05.25 11:26
專論》520後,正處於轉捩點的台灣離岸風力如何跨出穩健下一步? (二) 努力提升台灣離岸風力國家競爭力
-
留言發布 2023.05.25 11:25
爆NCC網站洩國人個資多年 徐巧芯怒要求陳耀祥、唐鳳出面
-
留言發布 2023.05.25 11:25
還會回台嗎?霍華德稱想在NBA退役
-
留言 2發布 2023.05.25 11:20
陳菊聲明駁認識im.B主嫌 曾銘宗氣喊:一定到監察院陳情
-
留言發布 2023.05.25 11:16
新北交通事故數字6都最高 民進黨:市政都管不好還想管國政
-
留言 2發布 2023.05.25 11:11
追交通部、台鐵高官參加im.B主嫌豪宅趴 陳琬惠質問陳建仁:不用查?
-
留言發布 2023.05.25 11:08
民進黨里長反彈 李正皓:他的情緒問題 我會十顧茅廬拉回
-
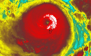
留言發布 2023.05.25 11:03
「瑪娃」重開愛心眼?彭啟明曝一現象:憂心未來發展
-
留言發布 2023.05.25 11:02
想遠離社群網站 Morant確定人沒事
-
留言發布 2023.05.25 10:49
還是年輕人的「熱血」好啊! 為了「回春」 美45歲富豪竟輸入17歲兒子血