發布 2025.11.09 19:35
新聞跑馬燈
最新報導
2025.11.09
-
留言 -
留言發布 2025.11.09 19:32
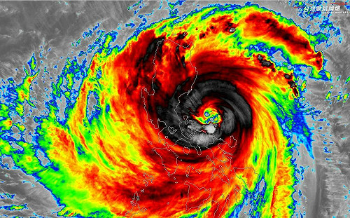
鳳凰來不及轉強颱仍「又大又猛」!專家揭「對台影響關鍵」
-
留言PR
2026最潮客家節慶!臺中東勢新丁粄節 踩街馬戲大粄歌舞 處處驚喜
-
留言發布 2025.11.09 19:29
颱風鳳凰逼近 北大武山等步道11/10午後關閉
-
留言發布 2025.11.09 19:20
雞蛋農藥超標 高雄賣場未主動通知消費者將遭罰
-
留言發布 2025.11.09 19:15
劉子杰自培出身用全壘打自我介紹 交流賽獲MVP
-
留言發布 2025.11.09 19:04
防範俄羅斯無人機 英國支援軍事人員與裝備協助比利時
-
留言 39發布 2025.11.09 19:03
洪耀南觀點》從氣勢典禮到戰略幻象:台灣才是「福建艦」真正的試煉場
-
留言發布 2025.11.09 19:01
馬太鞍溪堰塞湖發布黃色警戒!專家模擬最大洪峰流量
-
留言 7發布 2025.11.09 18:59
中國第三艘航母「福建號」服役 與美軍航艦實力仍有極大差距
-
留言發布 2025.11.09 18:51
緬甸宣稱拆除KK園區150棟建築 法新社:安撫中國壓力下的「表演性行動」
-
留言發布 2025.11.09 18:49
颱風假有望?中颱「鳳凰」下週登陸 3縣市暴風圈侵襲機率破8成
-
留言發布 2025.11.09 18:42
「超人醫師」徐超斌追思會 賴清德頒贈褒揚令
-
留言發布 2025.11.09 18:26
李卓人鄒幸彤紀念六四遭控「顛覆國家政權」關押1500天 民團籲立即釋放
-
留言發布 2025.11.09 18:24
偵辦殺人魔吃人肉案 檢察官沈淑宜轉任律師 致力推廣意定監護契約
-
留言發布 2025.11.09 18:24
英特爾提告前員工!疑竊1.8萬份「Top Secret」文件 恐違商業機密法
-
留言發布 2025.11.09 18:21
F4合體獨缺朱孝天!轉戰創業認了「結束一些不好的事情」
-
留言 1發布 2025.11.09 18:19
怕什麼?于朦朧粉絲用外送留言喊冤 北京下令:全面取消備註功能
-
留言發布 2025.11.09 18:13
威懾中國 紐西蘭媒體討論加入澳大利亞無人機牆防線
-
留言發布 2025.11.09 18:10
不只支教這麼簡單?于朦朧雲南歸來狀態更糟 疑有內情
-
留言 11發布 2025.11.09 17:33
中共威脅全球通緝!沈伯洋回嗆:台灣與中國一邊一國、互不隸屬