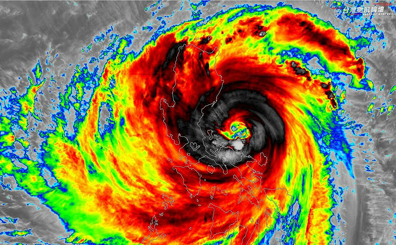
預估鳳凰今(9)日會成為強颱,但隨著鳳凰即將登陸菲律賓,都還是中颱等級,對此,氣象粉專「台灣颱風論壇|天氣特急」指出,因為鳳凰跑太快,即使努力整合,但因為要靠近陸地,可能還是來不及成為強烈颱風,不過鳳凰仍然又大又強,明(10)日起穿越菲律賓後重新整合的情況將是對台影響強弱的關鍵。
氣象署指出,鳳凰目前仍為中颱上限,當颱風登陸呂宋島後,就受地形破壞減弱,將以中颱之姿進南海;後天北上過程,由於環境垂直風切越來越大,不利於颱風維持強度,因此颱風在北上到接近台灣的過程可能減弱成輕颱;不過,減弱速度尚不確定,若減弱較快,登陸地區風雨會較小,登陸點也可能異動。
全站首選:陳玉珍提助理費除罪化 律師:每年自肥680萬,立委貪污「就地合法」將被唾棄
原本預估今日會成為強颱,但到目前都沒有變化,對此,「台灣颱風論壇」指出,因為鳳凰跑太快,即使它很努力的整合,應該還是來不及成為強烈颱風,因此預估將會維持在中度颱風上限登陸菲律賓,不過鳳凰還是又大又強,穿越菲律賓後重新整合的情況將會是對台影響強弱的關鍵。
「台灣颱風論壇」指出,因為鳳凰跑太快,即使它很努力的整合,應該還是來不及成為強烈颱風。 圖:取自台灣颱風論壇