發布 2023.05.26 16:33
新聞跑馬燈
最新報導
2023.05.26
-
留言 -
留言發布 2023.05.26 16:30
海軍年度軍風紀專案巡迴宣教 攜手高市毒防局設「毒品防制宣導」專區
-
留言發布 2023.05.26 16:25
便宜機票先搶起來!星宇航空經濟艙全航線9折優惠
-
留言發布 2023.05.26 16:15
稱受害者洗澡被闖入「引誘人去看」黃捷怒點名2人要求公開道歉
-
留言發布 2023.05.26 16:14
上路6年成效不彰!「衛生紙丟馬桶」人數不到5成 環保署說話了
-
留言發布 2023.05.26 16:12
新北板橋「愛幸福」庇護工場 26日正式開幕
-
留言發布 2023.05.26 16:08
iPhone 15值得換?全系列機型5亮點曝光
-
留言發布 2023.05.26 16:04
世紀大和解?館長想把「戰組衣」裱框 Toyz笑:我加碼200件免錢
-
留言發布 2023.05.26 16:04
新北議員黃淑君質疑資源不均 憂特教童求學中斷
-
留言發布 2023.05.26 15:56
極端氣候作祟 嘉義市一邊抗旱、一邊防汛
-
留言 2發布 2023.05.26 15:51
沒想起8年前的自己?被問吳沛憶和鄭家純支持誰 高嘉瑜:都很優秀
-
留言發布 2023.05.26 15:50
「不鎖門要引誘人嗎」 網友怒改黃浴沂服務處地標「洗澡記得關門」時力喊罷免
-
留言 1發布 2023.05.26 15:50
普丁為何沒受邀參加中亞峰會? 專家 : 習近平在趁機搶奪俄羅斯後花園
-
留言發布 2023.05.26 15:49
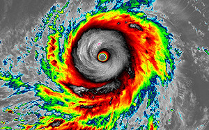
強颱「瑪娃」創顛峰!氣象專家:榮登5月最強颱風
-
留言發布 2023.05.26 15:46
(影)兄弟 上戰場要保重!代訓烏軍養成革命感情 西班牙士兵落淚相送
-
留言發布 2023.05.26 15:45
新北精進醫院應變能力 部北示範提昇公共安全
-
留言發布 2023.05.26 15:32
(影)驚!韓亞航空中「艙門突被打開」9乘客呼吸困難急送醫
-
留言發布 2023.05.26 15:26
樂遊新北漁人碼頭 魚藏餐廳、淡水福容大飯店推促銷
-
留言 2發布 2023.05.26 15:24
連「玩具武器」都上戰場了! 俄竟用上「木造」無人機 中媒酸:越來越低端
-
留言 2發布 2023.05.26 15:24
諷刺綠營網軍 柯文哲推募款回饋小物1450點換棒球帽、嗡嗡包