發布 2022.10.15 15:22
新聞跑馬燈
最新報導
-
留言 -
留言發布 2022.10.15 15:09
被蔡壁如衝擊?柯文哲酸:不會全黨救一人連台大都幹掉
-
留言特別企劃
11/29-11/30 [流量政治學第二屆營隊] 免費報名參加
-
留言發布 2022.10.15 15:07
不滿節目狂罵陳時中!羅友志拔麥拒錄 蜂蜜檸檬哥:說到我無奈心情
-
留言發布 2022.10.15 15:06
錄到一半失控走人!羅友志臉書致歉後首回應:對政論界失望
-
留言發布 2022.10.15 14:56
支持18歲公民權推動 蘇清泉:政府應優先規劃完善配套措施
-
留言發布 2022.10.15 14:54
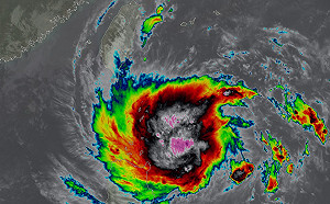
日本未升等為颱風!鄭明典曝熱帶低壓近輕颱強度 氣象局:考慮自行升等
-
留言發布 2022.10.15 14:47
快訊》本土確診43,478境外32!莊人祥:較上週六減少2.2%
-
留言發布 2022.10.15 14:25
王美花率團訪美國矽谷 會面多家科技大廠 吸引超300億元投資
-
留言發布 2022.10.15 14:22
致力將東方元素融入西畫 劉哲志個展在大墩藝廊
-
留言發布 2022.10.15 14:21
盧秀燕展開對侯友宜的總統前哨戰 陳世凱:讓盧落選卸任去做總統夢吧!
-
留言發布 2022.10.15 14:20
「先自行止血!」柯文哲曝蔡壁如請辭過程「妳先辭吧」
-
留言 13發布 2022.10.15 13:51
剛罵完高端今就飛日本!周玉蔻連發2篇文 興奮喊:甜甜的幸福感
-
留言 11發布 2022.10.15 13:50
不想再罵陳時中!羅友志錄節目拔麥走人 中天主播激動落淚
-
留言 24發布 2022.10.15 13:34
羅友志不滿節目罵他拔麥不錄 粉專「打狗幫」諷:親藍名嘴最近怎麼開始講人話了
-
留言 4發布 2022.10.15 13:30
蘇煥智控高階警官摺紙蓮花 黃承國不忍了喊告
-
留言 2發布 2022.10.15 13:28
不滿只罵陳時中 錄節目當場走人 羅友志道歉 「不想讓仇恨意識擴散」
-
留言發布 2022.10.15 13:04
暴雨襲擊!台鐵平溪線十分-菁桐預警性封閉 啟動公路接駁
-
留言發布 2022.10.15 13:03
不滿只罵陳時中!羅友志節目錄一半 當場拔麥走人
-
留言 5發布 2022.10.15 12:55
不滿只檢討陳時中?羅友志節目錄一半拔麥走人 蔣萬安回應了
-
留言發布 2022.10.15 12:49
蔡英文現葫蘆寺拉抬!陳時中談房貸「沒時間處理被套牢」