發布 2023.05.26 15:50
新聞跑馬燈
最新報導
-
留言 1 -
留言發布 2023.05.26 15:49
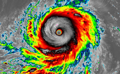
強颱「瑪娃」創顛峰!氣象專家:榮登5月最強颱風
-
留言發布 2023.05.26 15:46
(影)兄弟 上戰場要保重!代訓烏軍養成革命感情 西班牙士兵落淚相送
-
留言發布 2023.05.26 15:45
新北精進醫院應變能力 部北示範提昇公共安全
-
留言發布 2023.05.26 15:32
(影)驚!韓亞航空中「艙門突被打開」9乘客呼吸困難急送醫
-
留言發布 2023.05.26 15:26
樂遊新北漁人碼頭 魚藏餐廳、淡水福容大飯店推促銷
-
留言 2發布 2023.05.26 15:24
連「玩具武器」都上戰場了! 俄竟用上「木造」無人機 中媒酸:越來越低端
-
留言 2發布 2023.05.26 15:24
諷刺綠營網軍 柯文哲推募款回饋小物1450點換棒球帽、嗡嗡包
-
留言發布 2023.05.26 15:18
響應國家海洋日 新北邀您一起愛海淨海
-
留言發布 2023.05.26 15:14
賴坤成與500多民眾赴台東縣議會抗議!籲政府落實「土地正義」
-
留言發布 2023.05.26 15:07
嘉縣梅山遊客誤踩山豬吊 所幸厚底登山鞋保護
-
留言發布 2023.05.26 15:03
冷氣吹27、28度嫌太熱?遙控器按1鈕涼翻
-
留言發布 2023.05.26 15:00
U16籃球亞錦賽開打 培訓名單出爐
-
留言發布 2023.05.26 14:53
賴清德拜訪設計師周裕穎:原來東京奧運進場服就已是「Team Taiwan」
-
留言 14發布 2023.05.26 14:52
F-16不會成為烏克蘭致勝「法寶」! 美最高將領警告 :俄還有千架第四代戰機
-
留言發布 2023.05.26 14:48
新北STEAM大聯盟跨域人才扎根 培育種子教師教學研發與實踐
-
留言發布 2023.05.26 14:44
強颱「瑪娃」路徑撲朔迷離!美國最新預測震驚網:好扯
-
留言發布 2023.05.26 14:40
綠化新創意!新北平溪國小學生自製「苔可愛」課程模組
-
留言發布 2023.05.26 14:40
快訊》雨彈狂炸!氣象局:高屏地區大雨特報
-
留言發布 2023.05.26 14:36
亞洲150大餐廳公布!台灣入選8間