發布 2025.08.13 11:53
新聞跑馬燈
最新報導
-
留言 3 -
留言 2發布 2025.08.13 11:53
政院昨發生「國旗倒掛」事件 新黨抗議人士:不能草草帶過
-
留言 1發布 2025.08.13 11:51
林岱樺私領域被揭露與醜化 「左營楠梓漢」薛兆基:跨越底線沒有人會是贏家
-
留言發布 2025.08.13 11:50
黃國昌想選新北市長 吳亞昕:重啟新北除役核一、二廠?
-
留言發布 2025.08.13 11:48
李乾龍表態支持盧秀燕選黨魁 侯友宜:尊重每個人的想法
-
留言 1發布 2025.08.13 11:48
(影) 惡意連續倒車撞擊! 不滿自行車攔路 傳瀋陽市長之子將人撞到骨盆碎
-
留言發布 2025.08.13 11:45
朱蒲青觀點》盧秀燕的中台灣豪賭:第二次大罷免的政治檢驗
-
留言發布 2025.08.13 11:45
李鴻源批能源政策錯誤 經濟部斥:去年再生能源占比12%,核三除役後供電穩定
-
留言發布 2025.08.13 11:40
蔣根煌兒子蔣欣璋涉網軍影射吳秉叡 北院判無罪
-
留言發布 2025.08.13 11:38
「加賀號」成功起降F-35B戰機! 中國威脅增 專家:日本將成印太局勢關鍵
-
留言發布 2025.08.13 11:36
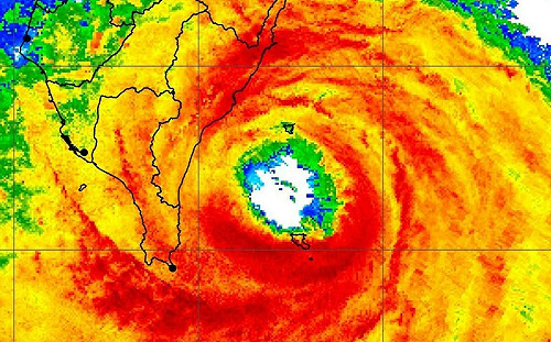
楊柳颱風威力驚人!蘭嶼綠島狂飆17級以上陣風 氣象專家示警:台東要注意了
-
留言發布 2025.08.13 11:35
颱風楊柳逼近台灣 劉世芳籲民眾勿赴海邊觀浪
-
留言發布 2025.08.13 11:33
八月台股ETF除息旺日到!「這檔」近月漲幅、年化配息率都逾8% 息利雙收可期
-
留言發布 2025.08.13 11:30
台大醫院天花板電線短路冒煙已撲滅 未影響病人
-
留言發布 2025.08.13 11:27
邱泰源提少子化解方「多辦聯誼」 王婉諭批:輕忽女性生育困境
-
留言發布 2025.08.13 11:23
處不好就打破你壟斷! 不讓馬斯克SpaceX獨攬 美將發射「火神」火箭
-
留言發布 2025.08.13 11:16
(影)楊柳颱風登陸蘭嶼!綠島颳17級強風 狂風暴雨畫面曝光
-
留言發布 2025.08.13 11:14
台中市唯一 大梨山今午起停班停課
-
留言發布 2025.08.13 11:12
7年之癢?徐佳瑩驚傳婚變 經紀公司曝真相
-
留言發布 2025.08.13 11:07
楊柳颱風來襲 高雄山區2202人完成撤離及安置作業