發布 2024.10.03 11:55
新聞跑馬燈
最新報導
-
留言 -
留言 2發布 2024.10.03 11:53
中國拒絕國際合作護航安「與叛軍接觸保自家船還要求攻擊他國船隻」
-
留言PR
跨年壓軸最大檔! 2025台中購物節 即日起至12/25熱鬧開跑
-
留言PR
「2025中台灣農業行銷展售會」兩大亮點! 4米高巨型蔬果牆 × 禮物盒裝置藝術 超吸睛打卡必拍
-
留言發布 2024.10.03 11:50
颱風天重大火警! 屏東安泰醫院發生火災 傳6人OHCA失去生命跡象
-
留言發布 2024.10.03 11:35
山陀兒颱風壟罩全台 14處道路預警性封閉
-
留言發布 2024.10.03 11:33
山陀兒颱風龜速襲台!桃機211架航班取消
-
留言發布 2024.10.03 11:32
Simmons將滿血回歸!隊友:我們會震撼聯盟
-
留言發布 2024.10.03 11:27
世界競爭下的台歐互動 歐盟資深外交官:勿僅有象徵性互動
-
留言發布 2024.10.03 11:24
高球/颱風攪局!三商杯高球邀請賽剩三回合
-
留言發布 2024.10.03 11:19
山陀兒將回馬槍? 日本氣象廳公布最新預測:登陸後轉回屏東
-
留言 1發布 2024.10.03 11:17
以色列凌晨空襲黎巴嫩真主黨據點!至少6死7傷
-
留言發布 2024.10.03 11:16
山陀兒恐拖到下午2點登陸!賈新興:台南以南午後慎防暴潮
-
留言發布 2024.10.03 11:15
情況不妙快跑!中國從黎巴嫩撤離215名公民 含1名「台灣人」
-
留言發布 2024.10.03 11:13
明天續放颱風假?氣象署最新預報出爐「11縣市達停班課標準」
-
留言發布 2024.10.03 11:11
山陀兒登陸後估快速消散!天氣風險:自然不會再有「颱風假」
-
留言 1發布 2024.10.03 11:08
增加兵源送去烏克蘭前線 普丁簽署法律豁免從軍罪犯
-
留言發布 2024.10.03 10:40
更新》山陀兒颱風終於要登陸了!高雄港二港口狂颳17級狂風
-
留言發布 2024.10.03 10:29
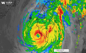
雨密集到「雷達波無法穿透」!鄭明典示警:強降雨影響陸地
-
留言發布 2024.10.03 10:20
台南議員張世賢颱風夜病逝享年72歲! 捲邱莉莉案遭國民黨開除黨籍
-
留言發布 2024.10.03 09:55
山陀兒颱風釀2死逾百傷2失蹤! 劉世芳喊話民眾勿往再前往海邊觀浪
-
留言 4發布 2024.10.03 09:17
國民黨公布殲綠二十人名單?吳靜怡:缺乏民意基礎頂多淪一日笑柄