發布 2023.10.12 17:56
新聞跑馬燈
最新報導
2023.10.12
-
留言 2 -
留言發布 2023.10.12 17:50
向心夫婦無罪卻滯台近4年 陸委會:他們沒有一句怨言
-
留言發布 2023.10.12 17:47
P-8A反潛機飛越台灣海峽 美第七艦隊:展現對印太地區承諾
-
留言 1發布 2023.10.12 17:35
哈佛學生縮了! 聯名挺巴勒斯坦後 遭美CEO們批永不錄用 5社團撤回連署
-
留言發布 2023.10.12 17:31
跨年比照焰火提早?鄭照新:不回答假設性問題
-
留言發布 2023.10.12 17:30
身障者不能用APP訂輪椅票!高鐵:已要求精進系統
-
留言發布 2023.10.12 17:28
Russell、Vincent合砍39分率領湖人勝國王
-
留言發布 2023.10.12 17:26
以法人自有資金買進口雞蛋 不適用政府採購法?工程會證實!
-
留言發布 2023.10.12 17:23
戰鬥藍「惡鬥黃珊珊哥哥」溫朗東:柯文哲從「藍白失和」責任中解套
-
留言發布 2023.10.12 17:22
中對台「貿易壁壘調查」延期 陸委會:若無關政治為何挑選前一天?
-
留言發布 2023.10.12 17:21
公投電子連署系統何時上線?李進勇:明年2月委員會審議決定
-
留言發布 2023.10.12 17:13
真相曝光超無言!柏油路「浮出貓頭」嚇壞他
-
留言發布 2023.10.12 17:12
美進一步再軍援! 為挺台灣、烏克蘭、以色列 白宮擬向國會請求增資
-
留言發布 2023.10.12 17:06
安芝儇宣布加盟台鋼雄鷹!「討論度不及李多慧」網揭2關鍵原因
-
留言 1發布 2023.10.12 17:03
台灣蘋果供應鏈營收持續下滑!彭博:9月銷售創6月以來最差
-
留言發布 2023.10.12 17:02
報復以色列攻擊難民營 哈瑪斯旗下卡桑旅向特拉維夫發射火箭彈
-
留言發布 2023.10.12 16:56
多種主題嗨翻全場!2023台東電音派對10/21熱鬧登場
-
留言發布 2023.10.12 16:51
遊騎兵Max Scherzer有望美聯冠軍戰復出
-
留言發布 2023.10.12 16:49
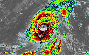
「布拉萬」榮登今年颱風王!十級暴風半徑達130公里 網嚇:好險沒來
-
留言發布 2023.10.12 16:47
探索台南景點!跟隨爆紅魚頭君打卡85個秘境點