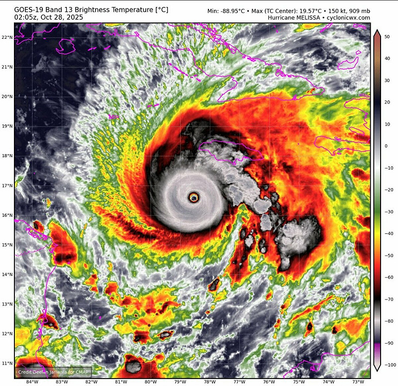
颶風「梅麗莎」(Melissa)於週一正式升級為五級颶風,強度突破紀錄、直撲牙買加而來。就在外界避之唯恐不及之際,美國空軍預備役的「颶風獵人」卻逆風而行,親自駕駛偵察機飛入颶風眼,捕捉到風暴核心的驚人畫面。
這支被稱為「颶風獵人」的美軍第 53 氣象偵察中隊,隸屬於密西西比州比洛克西的第 403 聯隊,是全球唯一定期執行氣象偵察飛行任務的作戰單位。當梅麗莎在加勒比海上空迅速增強時,這支部隊連續兩天深入風暴中心,利用特製飛機蒐集溫度、濕度、氣壓與風速等關鍵數據,為邁阿密國家颶風中心提供第一手資料。
現正最夯:快訊》21:34花蓮縣近海發生規模4.6有感地震 最大震度花蓮縣鹽寮、南投縣奧萬大3級
他們發布的最新影片中,可以清晰看到飛機穿越厚重雲牆、衝進颶風眼的瞬間,暴風驟雨驟然止歇,四周雲壁高聳如山,而中央竟出現一片詭異的寧靜與陽光。這個「死寂中心」正是梅麗莎的颶風眼,象徵著周圍每小時約 282 公里強風吹襲的極端邊界。
根據美國國家颶風中心(NHC)資料,梅麗莎目前的最大持續風速為 282 公里,預計週二將以四級或五級強度登陸牙買加,成為該國史上最強颶風之一。NHC 警告,風暴可能造成「災難性、危及生命的強風、洪水與風暴潮」,部分山區恐出現長時間電力與通訊中斷。
牙買加總理安德魯·霍爾尼斯坦言:「我們沒有任何基礎設施能抵抗五級颶風。」目前當地政府已下令全島避難,並警告沿海居民遠離海岸。
在梅麗莎離開牙買加後,氣象專家預測其路徑將橫掃古巴東南部與巴哈馬群島,兩地已發布颶風警報。儘管風暴預計不會直接影響美國本土,但美東沿岸可能出現異常海浪與強風。
颶風「梅麗莎」(Melissa)於週一正式升級為五級颶風,強度突破紀錄、直撲牙買加而來。就在外界避之唯恐不及之際,美國空軍預備役的「颶風獵人」卻逆風而行,親自駕駛偵察機飛入颶風眼,捕捉到風暴核心的驚人畫面。 圖:翻攝自X帳號@WxNB_
根據美國國家颶風中心(NHC)資料,梅麗莎目前的最大持續風速為 282 公里,預計週二將以四級或五級強度登陸牙買加,成為該國史上最強颶風之一。 圖:翻攝自X帳號@wake_up_girl_3