發布 2023.10.11 11:55
新聞跑馬燈
最新報導
-
留言 -
留言發布 2023.10.11 11:53
(影)火箭Brooks「偷桃」Theis遭驅逐出場
-
留言發布 2023.10.11 11:52
立院LIVE》程序委員會 現場直播中
-
留言發布 2023.10.11 11:42
藍氣綠改「台灣國慶日」拒國慶大典 郭倍宏諷:藍綠白都是中華民國派
-
留言發布 2023.10.11 11:41
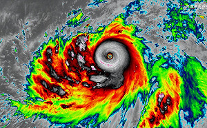
「布拉萬」成強颱!超清晰颱風眼網驚豔:型美心也美
-
留言發布 2023.10.11 11:39
馬文君拒簽保密協議 民進黨團:國民黨還要挺下去?
-
留言 3發布 2023.10.11 11:21
以巴戰事擴大! 這4國部隊都對以宣戰 傳以軍下達「屠城令」
-
留言發布 2023.10.11 11:19
馬文君拒簽保密切結書曝光 民進黨:南投鄉親要拒投叛國親中立委
-
留言發布 2023.10.11 11:16
(影)我們都忘了他!KG直接點名Kawhi會統治聯盟
-
留言發布 2023.10.11 11:14
蔡阿嘎歡慶國慶日突提醒「殘酷事實」!網秒崩潰:不想面對
-
留言 1發布 2023.10.11 11:13
22名台灣學生留以色列不返台 潘文忠:學生都希望延續學業
-
留言發布 2023.10.11 11:11
戰鬥藍集結馬文君在列 綠委問國會過半護航洩密?
-
留言發布 2023.10.11 11:09
國慶焰火之亂還有這些交通動線差、觀賞點沒人管
-
留言發布 2023.10.11 11:06
柯文哲競辦發言團隊再添戰力 戴于文出任發言人
-
留言發布 2023.10.11 11:03
連日「異常降雨」!西帽山累積雨量居冠 攔截東北季風
-
留言發布 2023.10.11 11:00
紅襪想簽大谷有變數?他反對給超級長約
-
留言 1發布 2023.10.11 10:58
BlizzCon見!典藏系列組合包現正開賣
-
留言 22發布 2023.10.11 10:58
中國高中生短劇演安倍晉三遇刺 日人感嘆:台灣是為他樹立銅像
-
留言 1發布 2023.10.11 10:54
BLM組織護航哈瑪斯!讚揚「自衛」行動 稱被擄人質都是以色列士兵
-
留言發布 2023.10.11 10:48
(影)為達成600萬旅遊人次目標 政院推台灣形象國際宣傳影片《Time For Taiwan》