發布 2024.10.01 10:21
新聞跑馬燈
最新報導
2024.10.01
-
留言 1 -
留言發布 2024.10.01 10:18
才簽約壹心娛樂!吳慷仁「中國國慶日」表態了:祝福錦繡中華
-
留言發布 2024.10.01 10:12
白恐受難者顏世鴻98歲辭世 人權館:將於小琉球設不義遺址紀念碑緬懷
-
留言 14發布 2024.10.01 10:06
京華城案爆員工坦承當人頭捐款柯 民眾黨:合法收政治獻金變賄款?
-
留言 5發布 2024.10.01 10:03
山陀兒颱風路徑超詭譎!日本氣象廳最新預報登南台後「一折再折」
-
留言 4發布 2024.10.01 09:59
明年健保點值1點0.95不可能 卓揆:財務有困難
-
留言 3發布 2024.10.01 09:56
川普稱「中國終究會犯台!」:台灣國防預算支出不夠 應占GDP10%
-
留言 5發布 2024.10.01 09:51
習稱台灣是中國的神聖領土 邱垂正:中華民國是主權國家
-
留言發布 2024.10.01 09:50
電價調漲 卓榮泰:照顧民生、工業電價還是比亞洲鄰近低
-
留言 7發布 2024.10.01 09:49
民眾黨切割朱亞虎、李文宗 前幕僚轟扯謊:應沒收他們政黨補助款!
-
留言發布 2024.10.01 09:45
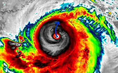
山陀兒轉強颱!颱風眼清晰可見 粉專:眼牆附近「很暴力」
-
留言發布 2024.10.01 09:45
賴清德要求將官資歷表填籍貫? 顧立雄:敵情嚴峻沒有分化必要
-
留言發布 2024.10.01 09:43
以色列軍方:已開始對黎巴嫩進行「針對性」地面攻擊
-
留言 1發布 2024.10.01 09:42
新新聯姻》新新併案 再獲外資Glass Lewis建議投「贊成票」
-
留言發布 2024.10.01 09:40
賴清德罵軍官?顧立雄:有提醒禮節 但被誇大 別再以訛傳訛
-
留言發布 2024.10.01 09:34
NBA/金塊重返榮耀?網羅Westbrook組三巨頭
-
留言發布 2024.10.01 09:30
避答產業電調漲 郭智輝赴日考察挨批急回「我有請假」
-
留言 1發布 2024.10.01 09:28
(影)親中馬治薇被切割 顏若芳PO影片打臉:黃國昌推薦小草傳媒,敢說不認識?
-
留言發布 2024.10.01 09:25
山陀兒颱風轉強颱將登台灣西南部!氣象署強烈提醒南部:風速之強勁令人擔心
-
留言發布 2024.10.01 09:19
美股開低尾盤反彈多收漲! 道瓊及標普寫新高、台積電ADR跌2.42%